Обяви За нас Контакти
Продава ПАРЦЕЛ
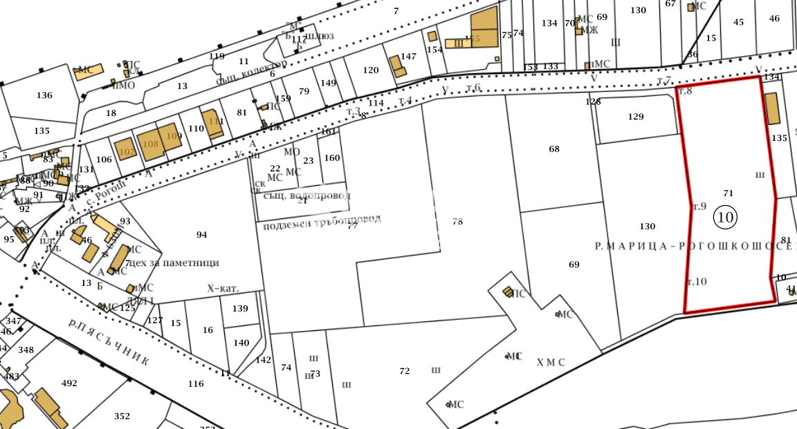
град Пловдив, Индустриална зона - Север
Рогошко шосе
1 630 000 €
3 188 002.90 лв.

(37 €, 72.37 лв./m2)
Не се начислява ДДС
История на цената
Коригирана в 9:42 на 6 февруари, 2026 год.
Обявата е посетена 2023 пъти.
Площ:
43997 m2

Описание на имота:


Оферта 61825: ТОП ЛОКАЦИЯ !!! ЛИЦЕ НА РОГОШКО ШОСЕ !!! Предлагаме ви парцел с лице на Рогошко шосе от 115 метра. Парцела се намира в рамките на града . Подходящ за складова база , производство и др. Статута на имота не е сменен. ТОП ОФЕРТА !!!ВИЖТЕ ОЩЕ ИЗГОДНИ ОФЕРТИ НА https://www.kondorimoti.com/ С ЕЖЕДНЕВНА АКТУАЛИЗАЦИЯ!
Особености
За пром.строителство
За контакт:
0894343353

Този имот се предлага само на частни лица
Брокер:
Теодор Банев
894343353
Още оферти от брокера: Продава | Дава под наем | Купува | Наема
Агенция:
КОНДОР - НЕДВИЖИМИ ИМОТИ
0897 777 032 , 0893 554 200;
КОНДОР - НЕДВИЖИМИ ИМОТИ logo
Медал за прослужено време
В imot.bg от 2004 г.
kondor.imot.bg
Адрес:
област Пловдив, гр. Пловдив, ул.Петко Д.Петков 23,ет.4 /до ТЦ Гранд/
http://www.kondorimoti.com
ИЗПРАТИ ЗАПИТВАНЕ
ИЗПРАТИ ЗАПИТВАНЕТО

Продава ПАРЦЕЛ
град Пловдив, Индустриална зона - Север
Рогошко шосе
Обява: 1r168560613960799

1 630 000 €
3 188 002.90 лв.
История на цената
(37 €, 72.37 лв./m2)

Не се начислява ДДС
ЗАПАЗИ ОБЯВАТА

Местоположение: град Пловдив, Индустриална зона - Север, Рогошко шосе

Допълнителни данни за имотите в района и сравнение с други райони

Покажи

Период

и 2 месеца

* Средните цени са определени чрез медианна стойност